Sezioni

Al via i lavori per la minirotonda tra via delle Caserme e del Carabiniere

14/01/2019 – Primo tassello di una serie di lavori per creare due zone 30 da un lato e dall'altro di via delle Caserme
Al via i lavori per la minirotonda tra via delle Caserme e del Carabiniere
https://associazioni.comune.pordenone.it/comune/comunicazione/comune-informa/notizie/al-via-i-lavori-per-la-minirotonda-tra-via-delle-caserme-e-del-carabiniere
Al via i lavori per la minirotonda tra via delle Caserme e del Carabiniere 768px 575px
Primo tassello di una serie di lavori per creare due zone 30 da un lato e dall'altro di via delle Caserme
Comune di Pordenone
76px 76px
2019-01-14T10:39:10+02:00

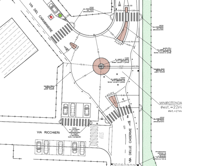
Al via i lavori per realizzare una minirotonda all’incrocio con via del Carabiniere, in posizione decentrata rispetto alla traiettoria su via delle Caserme, allo scopo di far rallentare le auto in vista degli incroci successivi di via dell’Aviere e viale Grigoletti.

I lavori non comporteranno l’interruzione della viabilità, ma naturalmente sono possibili rallentamenti. Il cantiere resterà aperto circa 20 giorni, meteo e imprevisti permettendo.

E' il primo di una serie di interventi finalizzati a creare da un lato e dall’altro di via delle Caserme due zone a limite 30 chilometri orari. L’obiettivo è garantire meno incidenti e più sicurezza per pedoni, ciclisti, automobilisti stessi, in un’area che peraltro risente a livello viabilistico della presenza del vicino ospedale.

Questa e le altre opere successive pianificate dal Comune mirano, come detto, a riqualificare la viabilità dell’area, ridurre gli incidenti, migliorare la vivibilità del quartiere e la sicurezza dei residenti, specie negli spostamenti casa-scuole del rione (l’istituto d’infanzia di via Fiamme Gialle e la primaria Lombardo radice in via del Carabiniere).

 Verranno creati incroci leggermente rialzati, pavimentazioni stradali marcate a colori, percorsi pedonali protetti, estensione dei marciapiedi e altre soluzioni. L’investimento complessivo è di 233 mila euro.

Le opere verranno via via realizzate da qui fino a primavera. Oltre alla minirotonda, di cui si è detto, ecco gli interventi più rilevanti: tra via delle Caserme e via Fiamme Gialle verrà creato un incrocio rialzato per mettere in sicurezza il collegamento pedonale tra la zona residenziale ad est e le scuole ad ovest. Incrocio rialzato anche tra via dell’Aviere e via dell’Autiere. L’incrocio tra le vie dell’Autiere e Fiamme Gialle e quello tra le vie dell’Autiere e via dell’Ariete verranno messi in sicurezza tramite l’avanzamento dei marciapiedi ai quattro angoli, a creare un restringimento della carreggiata. Infine, in prossimità della scuola di via Fiamme Gialle e della Lombardo Radice, della chiesa e della bocciofila il limite di velocità sarà di 20 chilometri orari.

 

Valuta sito

Valuta questo sito